PARK SQUARE AND HAPPY LAND

Park Square & Happy Land .Spp EDITED
Opens in a new window

“Why was it called Happy Land?” is a question often asked.

○○○○○

There are those who believe the name was given to the area due to the Ancient Order of Druids, a Benevolent Society set up to provide cash benefits to its members if they could not work due to illness.

1910 Valuation

○○○○○

Then there are those who believe it was because the houses were built by Joshua Oldroyd for his workers; that they loved their work and homes so much they called it Happy Land!

○○○○○

I suspect that the answer lays within the West Yorkshire Archives…

○○○○○

South Ossett 1928
Britain From Above
Houses on Happy Land - David Wilby
Opens in a new window

Above: The large light coloured field on the left is the corn field. It’s difficult now to imagine crops being grown in fields so close to the town centre. Happy Land is the long row of houses near the top right hand corner of the field, with their gardens running left to right.

Take a look at the following information and see what you think. If you’ve any other ideas, do please CONTACT ME

○○○○○

Sth Ossett Medieval Mid Common

Left: Medieval map showing the future Park Square and Happy Land. The map shows a building or buildings in the top corner of the Happy Land Plot.

○○○○○

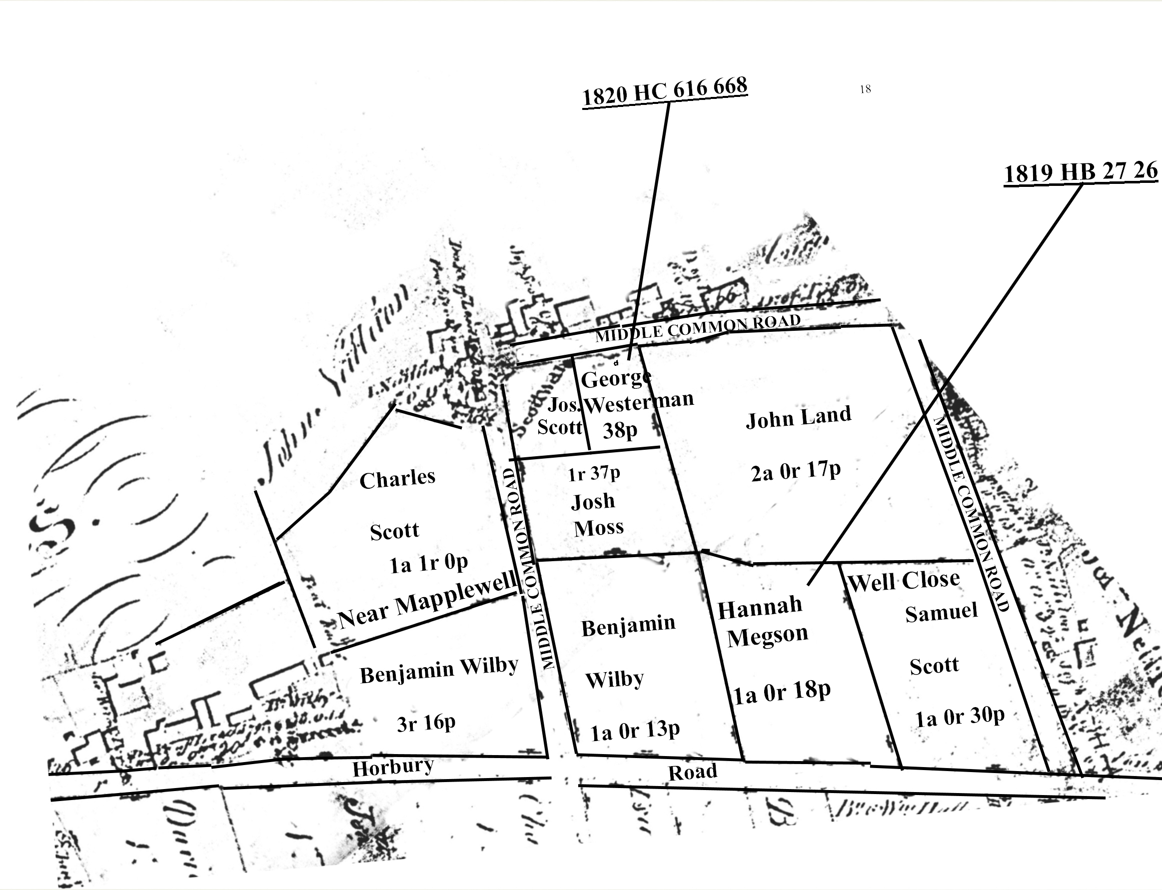
1810 Middle Common & Park Square

Below: A copy of the Ossett Inclosure Map 1807 – 1813

NB Middle Common Road is now Park Square. Horbury Road is now Manor Road.

○○○○○

1810 16 February BUTTERFIELD to SHAW 

Thomas BUTTERFIELD of Ossett to John SHAW of Nether Shitlington. Land on Low Common near to Lot 4 & 5. AND ALSO All that other piece parcel of land or ground lately staked out by Commissioners of Inclosure Act & marked or numbered Lot 15 containing 1a 18ps adjoining Lot 14 (Ref: 1810 FK 298 374)

1813 23 August PHILLIPS to WILBY

Between Randolph PHILLIPS of Ossett, clothier of the 1st part and Benjamin WILBY of Ossett the other part. Of & concerning all that allotment or piece of waste land or ground situate on Ossett Middle Common containing 1a 13ps bounded East by an allotment awarded to Thomas BUTTERFIELD, West by Middle Common Road, North by an allotment awarded to Joseph SCOTT and South by Horbury Road being part & parcel of the land directed to be sold under & by virtue of the Ossett Inclosure Act which said Indenture and the execution thereof by the said Randolph PHILLIPS is witnessed by Elliott CARRETT of Dewsbury aforesaid Attorney at Law and Joseph SMITH of Ossett aforesaid, cardmaker. Registered (Ref: 1813 FZ 40 49)

1817 27 August SCOTT to WILBY

Lease & Release 18th & 19th Feb 1817 between Joseph SCOTT of Ossett Common, Parish Of Dewsbury, Gent 1st Pt & David WILBY the younger of Ossett Common aforesaid clothier the Other Pt. Of & Concerning all that piece parcel of land or ground as staked or set out from off the adjacent land contained by est. 38p & 3 qrtrs & bounded E by an allotment now or late belonging to John LAND W & S by other land belonging to the said Joseph SCOTT and W by land also belonging to Joseph Scott and the Mid Common Rd., which said piece parcel of land is situated at Ossett Mid Common and was lately part & parcel of an allotment awarded to Joseph SCOTT under the Ossett Inclosure Act and then contained altogether 3r 35p. Together with Appurtenances etc. (Ref: 1817 GM 600 571)

1818 7th/8th July SCOTT to MOSS

Memorial of an Indenture of Lease and Release bearing date 7th & 8th July 1818 between Joseph SCOTT of Ossett Middle Common, clothier 1st part and Josh? MOSS of Ossett Common aforesaid, carpenter pf the other part. Of and concerning all that piece, parcel of land or ground as the same is now staked out or planted with ?????wood from off the adjoining land and is more particularly described on the Ground Plan, in the margin of the said Indenture containing by estimate 1r 37& a half ps superficial measurement and bounded E by lands respectively belonging to the said Joseph SCOTT and David WILBY, the younger, and John LAND, West by Mid Common Rd; North by Mid common Rd. & land belonging to the said David WILBY, S by Benjamin WILBY which said piece, parcel etc. is situate at Ossett Mid Common and is the moiety of a certain allotment awarded to Joseph SCOTT by the Comm. of the Inclosure Award containing 3rs and 35ps together with Apts. etc. (Ref: 1818 GW 284 243)

LAND CHANGES IN 1818

1818 Middle Common & Park Square

 

1819 24 June BUTTERFIELD to MEGSON

Indenture of Lease & Release made or intended to be made between Joseph BUTTERFIELD of Ossett Common clothier eldest son & heir of Thomas BUTTERFIELD late of the same place clothier deceased of the 1st part and Hannah MEGSON of Ossett widow of the other Part. And Release being of 6 parts Between Joseph BUTTERFIELD & Sarah his wife 1st Part Thomas SHAW of Over Shitlington 2nd Part Esther LANG of Wakefield widow 3rd Part Elizabeth BUTTERFIELD of Ossett Common widow and relict of the said Thomas deceased 4th Part the said Hannah MEGSON 5th Part and John GARTSIDE of Healey ……….6th Part. OF & Concerning all that close of land or ground situate being at Ossett Common commonly called MIDDLE COMMON CLOSE and containing by admeasurement 1a 18ps. E by Sam’l SCOTT W by Randolph PHILLIPS (now Benj. Wilby) N by John LAND & S by Horbury Rd., together with all appts. etc. (see 1810 FK 298 374) (Ref 1818 HB 27 26)

1820 5th/6th July WILBY TO WESTERMAN

A Memorial of an Indenture of Lease & Release bearing date 5th & 6th July 1820 the Lease made between David WILBY the younger of Ossett, parish of Dewsbury, Co of York Cloth Manufacturer of the one part and George WESTERMAN of Wakefield in the said county woolstapler of the other part and the ……..being of three parts and made between the said David WILBY and Mary his wife of the 1st part Joseph MITCHELL of Ossett aforesaid Cloth Manufacturer of the 2nd part and the said George WESTERMAN of the 3rd part. Of and concerning those two several Messuages Dwellinghouses or Tenements being contiguous to each other with the Shop and other outbuildings and small plot of ground to the same adjoining and belonging situate standing lying and being in Ossett aforesaid and formerly in the respective tenure? or occupation of Benjamin SCOTT and James SCOTT their respective assigns of undertenants but now in the possession tenure or occupation of the said David WILBY his undertenants or assigns (is this same as 1824 LZ 411 391?)   And also all that plot piece or parcel of land or ground as the same is now staked out from off the adjoining land containing by estimation 38 perches and three quarters superficial measure and bounded E by an allotment now or late belonging to John LAND W and SW by other land now or late belonging to Joseph SCOTT and N by land also belonging to the said Joseph SCOTT and the Middle Common Rd which said plot piece of land is situate at Ossett Middle Common aforesaid and was lately part and parcel of an allotment awarded to Joseph SCOTT under the Ossett Inclosure Act etc.. containing altogether by survey 3 Roods and 35 Perches.(Also a Pew numbered 132 in the Chapel of Ossett ) Together with all rights, appts. etc. (Ref: 1820 HC 616 668)

LAND CHANGES IN 1820

 

1825 December WILL OF JOHN LAND

John Land died on 27th September 1825. His Will was proved December 1825. His devisees were his sons David & Jacob and his daughters Ann, wife of Joseph Tomlinson and Elizabeth wife of Joseph Audsley. David’s wife was Hannah Westerman. All images open in full screen.

Will of John Land 4
Will of John Land 5
Will of John Land 6
Will of John Land 7

1826 April 12th WILL OF CHARLES SCOTT

Charles SCOTT of Ossett, Clothier. To my son Job SCOTT and my daughter Rachel SCOTT: All my real & personal Estate & effects whatsoever and wheresoever for and during the term of natural life of my daughter Martha SCOTT. £10. 8 shillings p.a. to be paid to Martha SCOTT. After the death of Martha SCOTT I give and devise all my real estate to my sons John & Mark SCOTT, all that close of arable meadow or pasture situate on Ossett Middle Common 1a 25ps more or less which I purchased of the Commissioner of the Inclosure Act (LOT 11 Giggal Hill) and I order that the said close be equally divided down the middle from West to East, by a fence and that my son John shall have the North and Mark the South and Mark shall be at the whole & sole expense of the said fence. I give & devise to my 2 sons Job and Luke SCOTT their heirs & assigns etc. all that other close of arable meadow commonly known as Near Mapplewell by estimate 1a 1r (PLOT 369) which I purchased from the Inclosure Act to be divided West to East and Luke to have the North and Job the South (Luke to pay for the fence). I give to my son George SCOTT ONE SHILLING to be paid at the end of 1 year. I devise to my daughter Rachel SCOTT her heirs etc., all that Dwellinghouse wherein I now dwell in the ‘Hack’ Garth, (should this be Stack Garth?) cowhouse, mistal & all other appurtenances belonging. Nevertheless I charge the said dwellinghouse with the payment of certain legacies or sums of money as is hereinafter mentioned:   Daughters Mary £20; Lydia, wife of Thomas WHITWORTH £20; Sarah wife of John FOTHERGILL £20, all of which sums of money I order & direct shall be paid by my daughter Rachel SCOTT after 1 yr of the decease of my daughter Martha. And in case any of my aforesaid Daughters dies in the lifetime of Martha, having no issue, then the said Legacy so bequeathed shall lapse. I give & bequeath to my son John SCOTT one stand in the Leeds Mixed Cloth Hall and I further order that my sons Job and Luke shall have the privilege of living in the Dwelling with my Daughter Rachel, while they are unmarried & until the death of Martha. And from immediately after the death of Martha I order that Rachel shall have & enjoy the whole & sole privilege of the said Dwelling etc., singly and to herself if she so think proper, & appoint Job SCOTT and Rachel SCOTT as my Executors. Signed 29th Aprl 1825. Died 30th Jan 1826.

1826 NETTLETON TO SCOTT

Indenture dated 12th April 1826 Between John NETTLETON of Ossett farmer of the 1st part and Joseph SCOTT of Wakefield Gent of the other part. Of & Concerning all that undivided 6th part or share the whole into 6 parts or shares to be divided of? and in all that the reversion? or remainder in fee simple expectant? on the decease of Elizabeth NETTLETON widow the mother of the said John NETTLETON. of and in all so much and such part and parts the ? as is or are of the nature of freehold and held by Deed? of and in All that close of land arable meadow or pasture ground situate lying and being in Ossett aforesaid and called or commonly known by the name Mapplewell otherwise Higher Close. And also of and all the messuages cottages & land etc. residue of real estate of John MARSDEN late of Storrs Hill former farmer situate in Ossett and given or devised to Hannah ILLINGWORTH for her life etc. (Ref: 1826 IN 573 567)

WAS HAPPY LAND TO BE A PART OF THIS?

1828 September 4th WILL OF DAVID LAND

Summary All freehold copyhold messuages buildings lands tenements and hereditaments, and all & singular goods chattels rights credits moners securities for money personal and testamentary effects whatsoever and wheresoever unto my son Joseph LAND and my Brother in Law Joseph TOMLINSON their heirs executors assigns forever. Mentions payment of all debts (except the sum of £50 now owing to Mr. Joshua GREAVES of Chidsel and interest for the same) to permit his dear wife Hannah to have use of the remaining part of the personal estate during her lifetime if she shall remain a widow, (and pay the interest to Mr Greaves) – after the decease of Hannah all that close of land called the Middle Croft with the Mistal now standing to son Joseph LAND And all that messuage/dwelling wherein I now dwell with appts. and all that share in the Fulling Mill at Healey unto and for the use of my son Isaac LAND (both sons charged with paying half of the money and the interest to Greaves). All that close of land called the Common Close to the use of daughter Jane (who married Joseph BURTON in 1829) and lastly bequeath the rest of real & personal estate to said sons Joseph & Isaac and daughter Jane.. Will signed 12th April 1828. Died 23rd April 1828

LAND CHANGES IN 1828

1834 November WILBY TO WESTERMAN 

Memorial of an Indenture of Lease & Release dated 27th & 28th November respectively. Lease between Benjamin WILBY of Ossett Upper Common, clothier & Sarah his wife 1st Part & George WESTERMAN of Wakefield Esquire the Other Part. And Release between the said Benjamin WILBY aforesaid Cow Jobber and George PICKARD of the same place Shop Keeper, executors of the last Will & Testament of Joseph MITCHELL late of Ossett deceased 2nd Part and the said George WESTERMAN 3rd Part. OF AND CONCERNING all that messuage dwellinghouse tenement with the shop Barn Building ‘Hole’? and other outbuildings garden & homestead to the same belonging situate standing and being at Ossett Upper Common aforesaid & now in the actual possession of the said Benjamin WILBY his undertenants or assigns – and all that Dwellinghouse with the chambers over the same lately erected by the said Benjamin WILBY and all other buildings…. and which said dwelling is now in the occupation of the said Benjamin WILBY and all other buildings now or hereafter to be erected upon the said land or any part thereof. together with all appts. etc. ( I think this is 370 on 1843 Tithe Award – 3r 16p) (Ref: 1834 LZ 411 391)

1836 SCHOLEFIELD TO NETTLETON 

John SCHOLEFIELD of Horbury Esq 1st Part Francis NETTLETON of Wkfd Innkeeper 2nd Part & John NETTLETON of Storrs Hill Ossett Gent 3rd Part. Of and Concerning all that ‘reversion’? ‘remaining’ in fee simple expectant ? and in possession on the decease of Elizabeth NETTLETON. One undivided 6th Part of all that close called MAPPLEWELL otherwise LIGHTS CLOSE (365?) situate in Ossett and also all that messuage cottage buildings parcel of land situate on Storrs Hill aforesaid which Elizabeth NETTLETON now owns for her natural life the said 1/6th part which the said Francis NETTLETON entitled to at the decease of the said E.N (sic) by virtue of certain devises? continued in the respective ‘Wills’ of one John MARSDEN and Francis MARSDEN as in the said Indenture is set forth – together with all Appts. etc (See 1826 IN 573 567 )

1837 May WILBY TO WILBY

A Memorial of certain Indentures of Lease and Release dated respectively 12th & 13th May 1837. The lease between Benjamin WILBY of Ossett Upper Common clothier 1st part and George WILBY same place cothier of the other part and Release between the said Benjamin WILBY 1st part the said George WILBY 2nd part and John MITCHELL of Ossett Common clothier 3rd part. Of & concerning all that messuage dwellinghouse tenement with the shop barn burling hole? and other outbuildings etc situate on Ossett Upper common and now in the actual……of Benjamin WILBY his tenants & assigns and all those 2 several closes or parcels of land on Upper Common formerly known as the 2 Far Cross Closes? but now the Upper Cross Close (373?) cont. by estimate 1a 3r 3ps more or less and also that other piece parcel of land etc called the Croft at Upper Common containing 3r and 20ps (16p?) and also that allotment or or parcel of newly enclosed ground on Middle Common cont. 1A 13ps bounded E by Joseph SCOTT south by Horbury Rd., all of which are now in the possession of Benjamin WILBY, his heirs assigns etc. AND ALSO all that Dwellinghouse with the chambers over lately erected by the said Benjamin WILBY with all appts. etc. (Ref: 1837 MS 154 152)

LAND CHANGES IN 1837

1838  WILL OF JOSEPH SCOTT

Probate of the last Will & Testament of Joseph SCOTT of Ossett Middle Common yeoman dated 22nd Dec 1837 by which said Will the testator did give devise & bequeath all his Real Estate wheresoever situate unto Samuel SCOTT (his nephew, son of David)) of Ossett Middle Common clothier and Abraham PICKARD (husband of Susannah, daughter of Sam’l.) of the same place clothier as his Executors. He devised all his personal stuff (except money) to his niece Judith BROOKE, for looking after him and his sister Fanny. She was to be allowed to occupy his house for 12 months after his death, rent free & be paid 5s 6d weekly during this 12 months. Then his real estate, money, securities, personal estate etc. to be disposed of. Residue to be divided into 5 equal parts. one to his brother Francis SCOTT, one other to the children of his brother Charles SCOTT, and the illegitimate son of his niece Mary, daughter of Charles Enoch SCOTT to take his mother’s share. One other to the children of his brother David SCOTT & that David POLLARD, the illegitimate son of his late nephew Joshua SCOTT, son of David, take the share of his reputed father Joshua. One part to the children of his sister Sarah wife of Joshua MOSS, Middle Common & the remaining 5th part to the children of his sister Mary BURTON (Ref: 1838 MX 761 719)

1839 SCOTT TO SCOTT

Memorial of Indenture of Lease & Release bearing date respectively 1st & 2nd of January 1839. Lease between Samuel SCOTT of Ossett Mid Common clothier and Abraham PICKARD of the same place clothier of the 1st part and Rachael SCOTT of Ossett aforesaid spinster of the other part. And the Release made between the said Samuel SCOTT and Abraham PICKARD of the 1st Part David WILBY of Ossett Mid Common aforesaid clothier and Nancy ?DEWS of Ossett aforesaid Widow of the 2nd Part the said Rachael SCOTT of the 3rd Part and George WESTERMAN of Wakefield Esquire 4th Part. Of and Concerning all that messuage dwellinghouse or tenement with the Barn and other outbuildings and premises with the appurtenances thereto belonging and therewith occupied being near Ossett Lights in Ossett…..containing by admeasure. with the site of the building 832 sq yds formerly in occupation of Joseph SCOTT dec’d but now Judith BROOK subject to rights of owners/occupiers of a close of land at Oss Mid Comm. called Broad Royd……………………..all which said premises with rights to fetching water from a Well in front of Building at Ossett Mid Common occupied by Titus SMITH adjoining to the said premises and sold by Sam’l SCOTT and Abram PICKARD to the said George WESTERMAN   (Ref: 1839 NC 322 271)

 

1839 SCOTT & OTHERS TO WESTERMAN

Indenture Of Lease & Release between Sam’l SCOTT of Ossett Midde Common & Abram PICKARD same place 1st Part & George WESTERMAN Esq of Wkfd the Other Part and Release between Sam’l SCOTT and Abram PICKARD 1st Part, David WILBY Ossett Mid Comm and Nancy? DEWS widow 2nd Part and George WESTERMAN 3rd Part.   Of and Concerning all those 3 cottages with vacant ground in front thereof containing with the site of the buildings 276 sq yds sit. on the north side of Middle Croft or Road & now in the occupation of Randolph WILBY, Titus SMITH, Geo. WILBY. subject to rights etc. for owners for the time being of certain bldgs at Oss. Mid Comm. sold to the said Sam’l SCOTT, Abram PICKARD to Miss Rachel SCOTT to fetch water from the WELL in front of the cottage occ. by Titus SMITH. ETC. And also all that parcel of land sit. on the South side of the said Mid Common Rd. containing by adm. 1097 sq yds & occupied. by David WILBY, the said Sam’l SCOTT and Abram PICKARD which said parcel of land is part of an allotment cont. 3r 35p** purchased by Joseph SCOTT in the 1813 INCLOSURE ACTand All that close land or ground at Ossett formerly known or called Broad Royd or Brick? Close and afterwards the Far Close and now the Broad Royd….with rights to the said hereditaments etc particularly right of road at all times along the road or way now used upon the West side of the said Buildings and land at Ossett Mid Common adjoining to the hereditaments. released by the memorializing Indenture of Release & sold and conveyed by Sam’l SCOTT to the said Rachel SCOTT   (Ref: 1839 NC 322 272)

LAND CHANGES IN 1839

1841 SCOTT TO SCOTT

A memorial of certain Indentures of Lease and Release dated respectively 14th and 15th May 1841 and both made Between Luke SCOTT of Horbury Co. of York Flour Dealer 1st Part and Job SCOTT of Ossett Common aforesaid Shopkeeper the other part. Of and Concerning all that the north side of a close of land called or commonly known by the name of the Near Mapplewell situate on Ossett Common and which said close of land contains by estimate. 1a 1r more or less and now in the occupation of the said Job SCOTT and which the father of the said Job SCOTT and Luke SCOTT purchased of the Commissioner of the Ossett Inclosure Act being Lot 10 and all other the estate and interest if any on possessions reversions remands? or expectancy of him the said Luke SCOTT of and in the entirety of the same close with appts. etc.. (Ref: 1841 NX 255 216)

FUTURE HAPPY LAND?

1841 CENSUS FOR MIDDLE COMMON

 

1843 TITHE AWARD

1843 September BROOKE TO HUMBLE

Indenture of Release dated 12th Sept 1843 between Jane BROOKE of Horbury parish of Wakefield 1st Part; Joshua MOSS & Thomas MOSS of Ossett parish of Dewsbury Farmers and Butchers 2nd Part; John HUMBLE of Ossett Manufacturing Chymist 3rd Part and George HUMBLE the younger of Cleckheaton, Solicitor 4th Part. Of & concerning all that piece, parcel of land or ground containing by est. 2rs 15ps more or less bounded on E by Mid common Rd., West by land belonging to John MEGSON North by land belonging to Samuel SCOTT & S by Horbury Rd., & which said piece, parcel of land is situate at Ossett Mid common aforesaid and is south end of a moiety or half part of a certain allotment awarded to Samuel SCOTT under the Ossett Incl Act said to contain 1a 30ps now in the occupation of John HUMBLE together with all appts. etc. (Ref: 1843 OQ 655 563) PARK SQUARE ( Jane Brooke was the daughter of Joshua MOSS)

LAND CHANGES IN 1843

 1844 April HUMBLE TO WOODHEAD   

John HUMBLE of Ossett Manufacturing Chemist 1st Part & John WOODHEAD  & Joseph WOODHEAD   Of Syke Fold, Liversedge, Birstal; Cloth Manufacturers the Other Part …………………………………………………… (2nd. Part of a larger Deed!)   and secondly all that close piece, parcel of land containing by est. 2r 15ps bounded E by Mid Common Rd., W by John MEGSON N by Sam’l SCOTT & S by Horbury Rd. & which said close etc of land is situated on Ossett Mid. Common and is the south end moiety or half piece of allotment awarded to Sam’l SCOTT etc. (Ref: 1844 OT 535 501)

LAND CHANGES IN 1844

1849 SCOTT TO SCOTT, BILTCLIFFE & STEWART

Memorial registered between Rachael SCOTT of Ossett Spinster 1st Part Job SCOTT of Ossett yeoman 2nd Part Thomas BILTCLIFFE of Denby Dale weaver 3rd Part and William STEWART Wakefield Solicitor 4th Part. Of & Concerning firstly all that dwelling or tenement with the Stack Garth cowhouse mistal burling shop and other appts situate standing at Ossett and now in the occupation of Rachael SCOTT & which said hereditaments were formerly the estate of Charles SCOTT the father of Rachael and devised to Rachael in fee by the Will of Charles bearing date on or about 29th April 1825 and secondly all that piece parcel of land being part of a close of land called the NEAR MAPPLEWELL & numbered 10 on the Inclosure Award and now in the occupation of the said JOB SCOTT containing by estimate 1r more or less bounded S by the township highway leading from Giggal Hill to Ossett Common W by land being the residue of the said close previously conveyed by the said Job SCOTT to George FOSTER, Israel BURROWS and others E by another township highway and north by Stack Garth hereinbefore conveyed to the said Rachel SCOTT together with appts. etc. (Ref: 1849 QM 346 345)

HAPPY LAND?

LAND CHANGES 1849

1855 DECEMBER BROOK TO WESTERMAN

Jane BROOK of Hallcliffe, Widow 1st Part Joshua MOSS Butcher and Thomas MOSS of Ossett 2nd Part and George Hudswell WESTERMAN Esq of Sandal Magna 3rd Part. Of & concerning all that Messuage, Dwellinghouse with the Shop adjoining situate at the Middle Common in Ossett in the occupation of Edward TOMLINSON – undertenants & assigns etc. Secondly all that piece, parcel of land containing by admeas. 1r 37p bounded N by land of George Hudswell WESTERMAN and the Mid Common Rd., E by property formerly belonging to Joseph SCOTT, David WILBY the younger and John LAND respectively but which now belongs to Mr Jacob LAND and S by land former belonging to Benjamin WILBY but now by George WILBY and W by Ossett Mid Comm Rd. which said land etc. is situate, lying & being at Ossett Mid Common & was the moiety or half part of a certain allotment awarded to Joseph SCOTT by Comm. of Inclosure Act 1807 (Ref: 1855 SY 7338 872:) (Jane Brook was the daughter of Joshua (dec’d) and Sarah MOSS)

1857 FEBRUARY MEGSON, GREAVES & WALKER 

Memorial of an Indenture dated 2nd Feb 1857 between Richard MEGSON of Ossett Clothier 1st Part Sarah MEGSON of Ossett Widow 2nd Part Robert MEGSON and Joseph MEGSON both of Ossett clothiers 3rd Part Joshua GREAVES of Chickenley Heath maltster & farmer and Joshua WALKER of Dewsbury Bank Manager 4th Part. Of & concerning all that close piece of land situate on Ossett Common commonly called MIDDLE COMMON CLOSE containing 1a18ps bounded E by Sam’l SCOTT W by sometime ago Randolph PHILLIPS N by sometime ago John LAND and S by Horbury Rd., (Ref:1857 TQ 383 427)

PARK SQUARE (Plot 439 on 1843 Map?)

 LAND CHANGES IN 1857

1859 FEBRUARY

Probate of Will of George WESTERMAN Gent of Sandal Magna. All real & personal estate to George Hudswell WESTERMAN of Castle Grove Sandal, Gent, the Devisee & Sole Executor (Ref: 1859 WB 181 287)

1860 WOODHEAD TO HUMBLE 

John & Joseph WOODHEAD & another to George HUMBLE south end of Moiety or half part of a certain allotment awarded to Sam’l SCOTT, Inclosure Act 1a 30p now in the occupation of John HUMBLE (Ref: 1860 WG 198 214)

LAND CHANGES IN 1860

1861 Census

 

1862 HUMBLE TO GARTSIDE

George HUMBLE to Wm GARTSIDE (same details as 1860 WG 198 214) (Ref: 1862 WP 647 696)

LAND CHANGES IN 1862

1863 May 1st WARD TO NYMPH LODGE

Between Thomas WARD of Ossett, Mason 1st Part and Richard MEGSON, Robert GIGGAL, John CONYERS all of Ossett Trustees of the NYMPH LODGE Number 34 of the United Ancient Order of Druids held at the George Inn Ossett the other part. Of and Concerning all those 5 cottages situate on Ossett Middle Common formerly in respective occupation of Francis SCOTT, John HEMINGWAY, Randolph WILBY, and ??? but now in the respective occupation of John SMITH, the said Thomas WARD & John MANNERS, together with rights, appts. etc. (Ref: 1863 XE 698 743)

In 1910 The Ancient Order of Druids owned Plot Nos. 692; 693; 694 and 695 which is the northern corner of Happy Land!

1910 VALUATION SCHEDULE

1863 May 4th GARTSIDE, MITCHELL, HUMBLE & SCOTT

William GARTSIDE First Part; Nathan MITCHELL Second Part; John HUMBLE (manufacturing chemist) Third Part and Henry C SCOTT Fourth Part, land on Ossett Middle Common 2 Roods 15 perches bounded on or towards the East by Middle Common Rd; towards the West by land formerly belonging to John MEGSON but now his representative; North by land belonging to Henry Castile SCOTT and South by Horbury Rd., & being the South End moiety of an allotment originally awarded to Samuel SCOTT stated to contain 1 acre 30 perches, with appurtenances. (Ref: 1863 XE 700 746)

THIS IS PARK SQUARE!

LAND CHANGES IN 1863

1864 11 APRIL BURTON, BURTON & GARTSIDE

Joseph BURTON of Ossett, smith & Jane his wife 1st Pt, David BURTON Gas Manager 2nd Pt William GARTSIDE Dyer 3rd Pt Of & Concerning all that piece/parcel of land now marked and set out in 12 Lots for building situated being part of the close called the Common Close situated at Ossett containing by admeasurement 3799 super sq yds & which said piece of land is described on the plan (not available) together with all ways, roads & rights of roads etc. to and for the said David BURTON and his heirs and the owner & occupier for the time being of the building site intended to be conveyed through over & along the northern part of an intended New Street 7 yds wide with the public Rd adjoining at the end thereof…….(Ref: 1864 XO 615 680)

1864 10 MAY

Joseph BURTON of Ossett, Smith 1st Pt Reuben WARD Weaver the Other Pt Of & Concerning all that piece/parcel etc. Part of Common Close comprising Lot 2 – N by another part of the close belonging to Joseph BURTON S by another part, of Peter CHAPPELL E by Public Rd., W by another part belonging to Joseph BURTON (including half of an intended New Street 5 yds wide – 264 sup sq yds. with rights etc.(Ref: 1864 XU 679 772)

1864 23 JUNE

Joseph BURTON of Ossett, smith 1st Pt & Peter CHAPPELL of Horbury, overlooker the Other Pt. Of & Concerning all those 3 several plots of land described in the plan (not available) as Lots 1; 5 & 9 part of land called the Common Close, containing by admeasurement. (including half of an intended road) to be thereby conveyed 1240 sq yds more or less bounded N by the centre of intended street 5 yds wide E by public road adjoining at the end thereof on the S by property of H. C. SCOTT and W by Jacob LAND. tog. with rights etc…(Ref: 1864 XS 761 886)

1864 

Peter CHAPPELL of Horbury, overlooker 1st Pt. Geo. ILLINGWORTH of South Ossett, manufacturer and Benjamin AUDSLEY of Horbury Manufacturer the Other Pt. Of and Concerning all that piece of land recently purchased by Peter CHAPPELL from Joseph BURTON being part of a close called the Common Close situated at Ossett containing(incl. half of a intended street 5yds wide…. with the North side of the said plot intended to be conveyed 458 sq yds bounded N by the centre of the intended street E by public road adjoining at the end S by property belonging to H.C. SCOTT and W by other land belonging to Peter CHAPPELL Tog. with all rights etc.. (Ref: 1864 XW 700 741)

1864 SEPTEMBER

Illingworth – Lister Geo. ILLINGWORTH of Sth Ossett Manufacturer & Benj. AUDSLEY, Horbury Manufacturer 1st Pt AND Emma LISTER of Mirfield spinster the Other Pt. Of and Concerning all that piece/parcel of a certain close of land called the Common Close situate at Ossett, containing by ad meas. (and half of an intended street 5 yds wide so far as is coextensive with the North side of the said plot 458 superficial sq yds which said plot is bounded N by the centre of the said intended street 4 yds wide E by a public road & adjoining at the end thereof on the S by property belonging to H.C. SCOTT W by land belonging to Peter CHAPPELL. And also all that messuage/dwelling shop and outbuildings recently erected & built upon the said Plot or some part thereof. Together with rights….(Ref: 1864 YM 110 125)

Joseph BURTON 1st Pt Isaac HEMINGWAY the Other Pt. Same as before but LOT 6 – 321 sq yds N by LOT 7 (unsold) E by LOT 2 sold to Reuben WARD – other details same as before (Ref: 1865 YN 134 146)

Thomas BILTCLIFFE formerly of Denby Dale but now of Ossett Shopkeeper 1st Pt William STEWART Gent 2nd Pt and David CLAFTON of Ossett Woolsorter & John WILBY Weaver 3rd Pt AND the several other persons whose names & seals are thereunto subscribed in the schedule thereunder written being Shareholders of the Horbury Freeholders Free Trade Building Society 4th Pt (no schedule attached) Of & concerning that plot of land (formerly part of a close called the Near Mapplewell & numbered 10 in the Ossett Inclosure Act situate in Ossett heretofore in the occupation of Job SCOTT containing 1r together with all rights etc. (Ref: 1865 YN 636 703) (No Plan)

Joseph BURTON 1st Pt to William BOULD of Ossett 2nd Pt. Same descriptions as previously but LOT 10 bounded N by LOT 11 E by street 7 yds and S by street 5 yds W by Jacob LAND (Ref: 1865 YP 566 663)

LAND CHANGES IN 1864/5

Emma LISTER of Mirfield spinster 1st Pt George ILLINGWORTH and Benjamin AUDSLEY the other Pt. (Same details as 1864 YM 110 125) (Ref: 1865 YR 273 297)

Peter CHAPPELL 1st Pt John CROSSLEY of Halifax, Joseph THORP, H’fax Gent; John FISHER Bank Manager & Robert EDGAR of Halifax Bank Manager (Trustees of Halifax Permanent Benefit Building Society) the Other Part. Of and Concerning – similar to other Deed Lots 5 & 9 containing half of Rd 5 yds wide – land conveyed 782 sq yds bounded N by centre of intended street E by Geo ILLINGWORTH S by H.C. SCOTT and W by Jacob LAND….and also all those 2 Cottages & Weaving Shop erected there together with all rights etc (Ref: 1865 YU 197 224)

1865

George WILBY, clothier 1st part & Oliver WILBY clothier the other part. Of & concerning all that plot, piece of land etc., being part or an allotment or parcel of newly enclosed land situated on Ossett Middle Common, containing by admeasurement Including the whole of an intended road 18ft wide so far as is coextensive with the north end of the said plot and also including a moiety of a certain other intended road 15ft approx. so far as is co extensive with the east side of the said plot 2534 super. sq yds more or less which said plot is bounded N by the said intended rd., 18′ wide E partly by the centre of the said intended road 15ft wide and partly by other land belonging to the said George WILBY on the S by the Turnpike Rd., and on the W by Top Causeway Road and is more part delineated on the plan together with rights etc. No Plan attached. (Ref: 1865 YX 269 291)

SCOTT TO FOSTER & others Memorial   of an Indenture dated 11th Oct. 1865. Job SCOTT of Ossett Common Shopkeeper of the 1st part, William STEWART of Horbury Solicitor 2nd part George FOSTER, Yarn Manufacturer, Israel BURROWS, Worsted Manufacturer, Joshua WILLIAMSON, Cloth Manufacturer, Abraham BENNETT, Cloth Manufacturer and James ELLIS —–A very long list of names given. Of & Concerning all that piece, parcel of land called the Near Mapplewell situate on Ossett Common containing 1a or thereabouts bounded N by property belonging to Job SCOTT and the representatives of the late Mrs NETTLETON; E by an occupation Rd., S by property belonging to George WILBY and W by Samuel SCOTT and Joseph THORNES       HAPPY LAND  (Ref: 1865 YU 316 312)

Megson partnership dissolved 1865

1866

Joseph BURTON 1st Pt and Seth PICKARD The Other Pt. 224 sq yds with other plots sent for Auction April 21st 1864 but not sold & described in printed particulars as Lot 4 bounded by other part of Common Close not included in the said sale E by Public Rd., S by LOT 3 and W by LOT 8 both remaining unsold. (Ref: 1866 YS 727 808)

Joseph BURTON 1st Pt Martin Edward NAYLOR, Wakefield, Veterinary Surgeon & Emma his wife & William STEWART Gent the Other Pt. All that part/piece of land part of a larger piece forming the Northern end of Common Close containing (incl half of an intended new street 7 yds wide) 668 sq yds & which said plot form the NW corner of a piece of land conveyed 7th April 1866 between Joseph BURTON & Jane his wife 1st Pt and David BURTON 2nd Pt and William GARTSIDE 3rd Pt registered 9th April 1866 in ZD 263 284 and also all that messuage/dwellinghouse now in the course of erection together with all houses, outbuildings and other rights etc. (Ref: 1866 ZC 530 562)

1868 9 MARCH

WILL OF JACOB LAND signed 1st March 1867 Died 23rd Oct 1867. Left to his nephew Edmund TOMLINSON part of Common Close 1a 4p approx. To his Nephew Robert TOMLINSON of Ossett all that cottage house with all rights situated on Middle Common now occupied by Andrew WILBY. To his 2 Nephews Eli TOMLINSON & Joseph TOMLINSON a plot of land on Middle Common immediately behind the aforesaid cottage house which was left to Robert TOMLINSON. To the Executors of his late Brother-in-Law Joseph AUDSLEY of Ossett to be disposed of as they think proper amongst his children to be paid by his Executors in the following manner that is to say £10 each yr for 5 yrs after my death £50. I desire that all my other cottage property situated in Little Town End, Ossett shall be sold as soon as convenient after my death and that the money derived from the sale shall be spent in paying my just debts & funeral expenses and if any surplus desire that this shall be disposed of in such a manner as the named executor think proper. Proved March 9th 1868 Under £20

1868 18 SEPTEMBER

Between Joseph BURTON 1st Pt & George LOFTHOUSE, Dirtcar, Carpenter the other Pt. Plot forming part of the Northern end of Common Close (including half of street 7yds wide on the West and half of intended street 8 yds wide on the East 520 sq yds. Also all those 6 cottages / dwellinghouses now in the course of erection. (Ref: 868 615 465 554)

1869 MAY

Between Joseph BURTON 1st Pt & Rev’d Goodwyn BARMBY Unitarian Minister the other Pt. All that Plot the Eastern Corner of the Northern part of Common Close (including half of street 7yds wide on the West and half of intended street 8 yds wide on the East) 250 sq yds. N by a Public Rd. E by the said Public Road S by property of Seth PICKARD and W by other part of the said Northern End of the said close belonging to Joseph BURTON. (Ref: 1869 626 249 289)

CHAPPELL TO ROTHWELL

Peter CHAPPELL of Horbury 1st Pt William ROTHWELL of Halifax Esq and Rev Edward SANDFORD of Elland Clerk the other Pt. Of and Concerning all those two several plots described in part of sale of a certain close called The Common Closse and being Lots 5 and 9 situated at Ossett containing by ad measurement (including half of an intended street 5 yds wide as far as is coextensive with the north side of the said plot 782 sq yds. Bounded North by the centre of an intended street East by George ILLINGWORTH South by H.C SCOTT and West by Jacob LAND and delineated on plan (No Plan available) on Indenture dated 23rd June 1864 between Joseph BURTON 1st Pt and Peter CHAPPELL the other Pt and all those 4 dwellinghouses & shop erected & built on the said Plot forming Lot 9 with conveniences etc and now in the occupation of Joseph TOMLINSON, Albert SPEIGHT, Peter CHAPPELL & Thomas BATTYE AND also All that messuage/dwelling with conveniences now in the course of erection on the said Plot 5 together with appts etc.. (Ref: 1869 629 430 490)

 LAND CHANGES IN 1869

1869

Ralph Walshaw Illingworth was seven years old when he left Ossett in 1869. When Ralph was born his folks – George and Eliza (nee Walshaw) – lived at Happy Land with their older children; five year old Anne and Arthur who was two. Ralph’s mother was from Horbury but his father’s ancestors had lived in Ossett for generations and if we go back six generations we find that Ralph is a descendant of Francisci Marsden and his wife Ann (née Tinker) who moved to Ossett in the early 1680s.

George and Eliza Illingworth made the decision to move their growing family (Anne, Arthur, Ralph, Ada, Alfred and Emma) from Ossett to America in 1869. They sailed from Liverpool on November 4 on board the SS City of London and arrived in New York eleven days later. Can you imagine travelling all that way with six children? Not only was the youngest little more than a year old, but also, Eliza was pregnant with her seventh child, Timothy, who was born just four months after the family arrived in “the land of the free”.

The 1870 United States Federal Census recorded the family in their new home at Lancaster Avenue, West Philadelphia. George was working in a woollen mill – just like he had done in Ossett – and he had £500 in the bank. That’s the equivalent today of around £34,000. It would seem that all was going well for the Illingworths. But, as is all too often the case, tragedy was waiting just around the corner. Less than two years after their arrival in America, George and Eliza’s eldest son, eleven year old Arthur Walshaw Illingworth, drowned when he fell into a pond near their home, which was now in Pennsylvania. His headstone reads “Our Dear Boy”. There are two more names on this headstone … After the birth of a daughter, Gertrude, in November 1873, Eliza gave birth to twin boys; George and Joseph. Joseph survived only five months and, in March 1876 he was buried beside his brother, Arthur. Eleven days later his twin, George, joined them. Laryngitis was recorded as the cause of death. Eliza had her last child Claire in October 1880 when she was 42. That’s a total of 11 children in 23 years. Quite a surprise then, to me at least, that Eliza lived until 1921 when she died of “old age”.

I started this story with seven year old Ralph Walshaw Illingworth. His story interested me as he was well known and much respected in Pennsylvania; news of him appears throughout the years in many American newspapers.

After graduation from high school in 1885, Ralph continued his education at the Pennington Seminary College, a prep school in Mercer County, New Jersey founded by the Methodist Church. Two years later, at the age of 24, Ralph matriculated at Dickinson College, Pennsylvania. Ralph, known at school as “Illy”, graduated in June 1891 as a Bachelor of Arts in Philosophy. Under the guidance of the presiding elder, in November 1891 Ralph became the Minister to the Methodist Episcopal congregation in Morrisdale, Pennsylvania. Ordained into the Methodist Episcopal Church in 1892, from March that year to March 1893 he was the Minister to three churches in Williamsburg, Blair County. The following year, he moved again when he became the Minister to the Methodist Episcopal congregation in Pine Grove, Centre County, Pennsylvania.

In December 1893 Ralph married Marion Snyder. Due to the sudden death two months earlier of Ralph’s father George, who died from injuries received in a fall, the wedding was a solemn occasion.

The next few years were busy for Ralph and Marion. Between 1894 and 1899, they had four children and, in 1895, at the age of 33, Ralph returned to Dickinson College and graduated with a Master’s Degree in Law. In 1896, he became a published author with his book: “A Passing Glance at Penn’s Valley”. This has become a great reference tool for those researching the state of Pennsylvania.

Throughout these years Reverend Ralph was constantly on the move, going where he was needed, and by 1901 he had moved his family to the Presbyterian Missionary of Arizona. In 1904, at the age of 41, Reverend Ralph returned to Great Britain to further his studies at Edinburgh University where he graduated with a Master’s Degree. I wonder if he made it back home to Ossett.

In October 1915 Marion Illingworth died after suffering a stroke. A year later, Reverend Ralph married his second wife, 33 year old Isabelle Steen Davis. Ralph became a father for the fifth time, at the age of 54, when their only child, John Davis Illingworth, was born in Ohio in July 1917. In the following years Reverend Ralph continued to serve as a Presbyterian minister in Ohio. Described as “a gentleman of excellent attainments, popular and esteemed in his profession” and also as “eloquent and enthusiastic, a pleasant speaker and very graceful”.

Reverend Ralph Walshaw Illingworth died in 1940 after suffering a sudden heart attack. Seventy years after leaving Ossett.

Anne-Marie Fawcett ©️2020

Death notice for Elizabeth Audsley of Happy Land
Saturday 27 November 1869
Newspaper: Leeds Times
John Scott, weaver of Happy Land, who ‘dropped down dead…’
Saturday 07 October 1871
Newspaper: Dewsbury Reporter

1874

Joseph BURTON 1st Pt Martin Edward NAYLOR Wakefield Veterinary Surgeon & Emma his wife and William STEWART Gent the Other part – (something to do with mortgage?) (ref: Indenture 18/5/1866 ZC 530 562) (Ref:1874 707 472 522)

1876

Chappell to Rothwell. Richard CARTER, Harry James FRANkLIN 1st Pt. Peter CHAPPELL 2nd Pt ? STANIFORTH, Commission Agent 3rd Pt. Wm ROTHWELL & Rev. SANDFORD 4 th Pt (Something to do with the Mortgage??)(Ref: 1876 760 50 54)

Joseph BURTON Beerhouse Keeper 1st Pt Stephen KENDAL Architect both of Ossett 2nd Pt Jane Maria THORPE of Ossett Spinster 3rd Pt. Of & Concerning those 2 Plots of land Lots 3 and 4 etc. Including half of a certain street called PARK STREET 7 yds wide 459 sup sq yds N by other property of Joseph BURTON W by property of Jacob LAND S by William BOULD & E by PARK STREET. with rights etc,. (Ref: 1876 765 443 531)

1877

Joseph BURTON of Ossett, Beerhouse keeper 1st Pt. Miles BURTON of Wakefield, Rent Collector 2nd Pt. John BARKER of Ossett, Joiner & Emma his wife 3rd Pt and William Henry STEWART of Wakefield Solicitor the 4th Pt. Of & concerning all that plot of land described in the sale plan Lot 6 being part of Common Close containing by admeasurement, including half of PARK STREET 7 yds wide so far as is coextensive with the W side of the said plot 273 sup. sq yds which said plot of land bounded N by property of the said Joseph BURTON & recently contracted to be sold to George HALL W by PARK STREET S by Isaac HEMINGWAY & E by ……..(blank) with all rights etc. in common with the owners & occupiers of land adjoining PARK STREET & a certain New Street 5 yds wide on the S side of PARK STREET (No Plan) (Ref: 1877 769 517 623)

Joseph BURTON Beerhouse Keeper 1st Pt Miles BURTON of Ossett 2nd Pt George HALL of Ossett, Cloth Dresser 3rd Pt. Of & Concerning all that plot of land described in the sale plan Lot 6 being part of Common Close containing by admeasurement. including half of PARK STREET 7 yds wide so far as is coextensive with the W side of the said plot 273 sup. sq yds which said plot of land bounded N by property of the said James BURTON W by PARK STREET S by another plot of land then or lately belonging to Joseph BURTON and recently conveyed to be sold to John BARKER & E by Seth PICKARD. (Ref: 1877 775 85 69)

Edmund TOMLINSON Armley Foreman 1st Pt Benjamin DUNFORD Sth Ossett, Blacksmith the Other Pt. All that close of land situate on Ossett Lights part of a close called Common Close including a moiety of a street 10 yds wide to be made on the West side 2442 sq yds formerly in the occupation of Jacob LAND but now of John TOMLINSON, With all rights etc. (Ref:1877 785 39 43)

Edmund TOMLINSON Armley Foreman 1st Pt William ILLINGWORTH Derby stone mason the Other Pt. All that close of land situate on Ossett Lights part of a close called Common Close (including a moiety of a street 10 yds wide to be made on the East side 2442 sq yds. etc) (Ref: 1877 785 40 44)

Joseph BURTON Beerhouse Keeper 1st Pt Martin Edward NAYLOR, Wakefield Veterinary Surgeon & Emma his wife and William STEWART of Wakefield Gent 2nd Pt Robert Charles WHITWORTH & Joseph WHITWORTH Heckmondwike 3rd Pt. Of & Concerning all that plot/piece of land, part of Common Close bounded N by Public Rd., leading to Horbury Rd., E by the eastern moiety of an intended new St., 7 yds wide to be called PARK STREET W by Jacob LAND & S by other property of Joseph BURTON by ad measurement 802 sq yds & also all that Beerhouse known as PARK HOTEL with the Cottage, Smith Shop, Stables, Greenhouse, Outbuildings thereto belonging or erected then or late in the occupation of Joseph BURTON with all rights etc..(Ref: 1877 776 367 437)

1878 HORSFALL to WARD

Eliza HORSFALL, Batty St., Dewsbury widow 1st Part. Thomas LEEMING of Dewsbury Commission Agent & Elizabeth his wife, Joseph HORSFALL, cardmaker & Robert HORSFALL, cardmaker, both of Dewsbury, John CROSSLEY, Dewsbury saddler & Ann Martha his wife and Wm Edward HORSFALL of Batty St., Clerk 2nd Part and Joseph WARD, Dewsbury Corn Miller 3rd Part. Of & Concerning those 2 cottages/messuages/dwellinghouses & 1 shop used as a Stone Cutters Shop with the piece of vacant land (formerly garden) adjoining the same and the outbuildings belonging situated in PARK ROAD Middle Common bounded N by a close of land belonging to Joseph LAND and now in the occupation of Joseph BURTON E by the said close of land of Joseph LAND S by PARK STREET W by a cottage belonging to Edmund TOMLINSON & now occupied by ? FOZARD & which said cottages etc. & shop were now or lately in the occupation of Joseph SCOTT, Sarah ELLIS and Frank MILLS. Together with Appts etc.. (Ref: 1878 802 207 228)

Peter CHAPPELL of Horbury, woollen slubber 1st Pt William QUARMBY of Horbury Woollen Draper the Other Pt. Of & Concerning all those 2 several plots of land described in particulars of sale of a certain close of land called the Common Close being Lots 5 & 9 at the said sale containing by (incl. half of a street 5yds wide called PARK STREET so far as the same is coextensive with the North side of the said plot intended to be conveyed 782 super sq yds which said plots of land lie together on the North by the centre of the said street East by land formerly belonging to George ILLINGWORTH but then to the WAKEFIELD & BARNSLEY UNION BANK S by property belonging to Henry Castile SCOTT and W by property of Jacob LAND (and were delineated on the plan on an Indenture dated 23rd June1864 (see 1864 XW 700 741) made between Joseph BURTON of the 1 Pt and Peter CHAPPELL of the other. And also all those 3 messuages/dwellings (formerly 2) and a shop erected and built on the same plot (Lot 9) then or late in the occupation of Frank WELLS? George STEAD, Alfred LONGBOTTOM and George WILSON. And also all those 3 dwellinghouses, formerly two but one of which has been converted into two with conveniences etc. on the said Plot forming Lot 5 and then or late in the occupation of the said Peter CHAPPELL, George ALDERTON and William RENSHAW with appts etc. (Ref: 1878 808 149 178)

1879

Re: Indenture 2nd Feb 1857 Ref 383 427 Richard MEGSON 1st Part Sarah MEGSON widow 2nd Part Robert & Joseph MEGSON 3rd Part Joshua GREAVES & Joshua WALKER of Dewsbury, Bank Manager 4th Part. Memorial Indenture Between James RHODES & his wife Hannah Maria, (formerly Hannah Maria WALKER widow) 1st Part & Richard MEGSON & Joseph MEGSON 2nd Part. All that freehold land called Middle Common Close and all other freehold hereditaments etc. dated 1857 TQ 383 427. (DON’T UNDERSTAND THIS Was it mortgaged to WALKER ?) (Ref: 1879 820 722 797)

George LOFTHOUSE 1st Pt Joseph BURTON 2nd Pt William STEWART Esq 3rd Pt. (something re. Mortgage?) (Ref: 1879 812 628 712)

1880

WILL OF GEORGE HUDSWELL WESTERMAN of Castle Grove, Sandal, Wakefield dated 15/9/1864. Probate of all his estate granted to his widow Fanny Brooke WESTERMAN one of the Devisees. Dated 29th May 1880. Will Registered 9th July 1880 (Ref: 1880 841 663 632)

1884

David Ellis LAND of Oldham Butcher 1st Pt Eliza HORSFALL widow 2nd Pt Miles BURTON Wakefield Public Accountant 3rd Pt. All that messuage/dwelling with frontage situate in Ossett Lights formerly in the occupation of David LAND then Joseph BURTON but now Ann MITCHELL E by representatives now or later of Sam’l PICKARD W by outkitchen hereafter described & partly by close of land described on the South partly by MIDDLE COMMON RD – otherwise PARK ROAD AND also all that close called MIDDLE CROFT formerly David LAND, then Joseph BURTON but now or late Ann MITCHELL (partly same as before then) W by Joseph WARD and partly by ?* TOMLINSON N by H.C SCOTT & S by the said messuage/dwelling containing 1a 1r more or less. * I think this is EDMUND (Ref: 1884 913 200 231)

 1887

William ILLINGWORTH formerly of Derby but now of Park Street Ossett, Stone Mason 1st Pt Oliver MYERS of Ossett Mungo Manufacturer the Other Pt. All that piece of land situated at ‘Ossett Lights’ being part of a close of land called the Common Close containing (incl. a moiety of a new street 10 yds wide on the E side of the said piece of land) 2442 sq yds (plan dated 8/5/1877 N/A) between Edmund TOMLINSON 1st Pt & William ILLINGWORTH the Other Pt (Reg. 1/6/1877 Book 785 40 44. And also those 2 dwellings now erected on the said piece of land & now in the respective occupations of the said William ILLINGWORTH and George BROUGH together with all rights etc.. (Ref: 1887 12 782 418)

Oliver MYERS Mungo Manufacturer 1st Pt William ILLINGWORTH Park St., Stonemason 2nd Pt George William ILLINGWORTH of Park St stonemason 3rd Pt. All that plot of land on Ossett Lights part of a close called ‘Common Close’ containing 145 sq yds now in the occupation of William ILLINGWORTH bounded N by Park Street S & E by other property of William ILLINGWORTH W by property of Mr WESTERMAN… forms part of a plot of land conveyed by Edmund TOMLINSON to William ILLINGWORTH 28th May 1877. And also those 2 messuages now being erected on the said plot etc. ( Ref: 1887 13 704 418)

On Saturday 23 July 1887 the Dewsbury Chronicle and West Riding Advertiser published a snippet of news from Ossett. Looks like we have a mystery on our hands! While ‘Happy Land’ is a well-known place that we’ve extensively covered, I must admit that ‘Cunning Square’ doesn’t ring a bell for me. Does anyone know anything about it? Is it a typo or could it be an old name that’s been forgotten over time?

1888

Joseph WHITWORTH of Heckmondwike, Brewer & Maltster sole surviving Executor of John WHITWORTH Liversedge, Doctor, 1st Pt. Spedding WHITWORTH Wath on Dearne, Brewer & Maltster, 2nd Pt. Mary Ann Hasland WHITWORTH widow the said Spedding WHITWORTH & Joseph Ernest Albert BIRKBY – devisees in trust of Robert Charles WHITWORTH of Liversedge deceased, 3rd Pt Charles GRIFFITHS of London 4th Pt & SPRINGWELL BREWERY CO. 5th Pt. Of & Concerning All that piece, parcel of land forming part of a close of land called the Common Close situated at Ossett. Bounded N by a Public Rd. to Horbury Rd., E by the eastern moiety of a street or intended new street 7 yds wide called or to be called PARK STREET W by property now or late belonging to Jacob LAND S by property now or late of Joseph BURTON which contains (including half the width of the PARK STREET – so far as is co-extensive therewith 802 sq yds more or less & described in Indenture dated Jun 11th 1877 between Joseph BURTON 1st Pt Martin Edward NAYLOR & Emma his wife & William STEWART 2nd Pt & Robert Charles Martin Edward WHITWORTH and Joseph WHITWORTH 3rd Pt. AND also all that beerhouse known as the PARK HOTEL with cottage, smith’s shop, stable, greenhouse & outbuildings belonging erected upon the said Plot & now or late in the occupation of Joseph BURTON (Ref: 1888 26 209 105)

SPRINGWELL BREWERY CO. Of Heckmondwike 1st Pt. Charles Page WOOD of Wares Hall in Essex Esq., Hon Reginald PARKER of Clifton Lodge York “The Trustees” of the Other Pt. (SAME DETAILS as previous deed – 1888 26 209 105) ( Ref: 1888 33 26 17)

Fanny Brooke WESTERMAN of Castle Grove Sandal (widow of Geo Hudswell WESTERMAN, Alderman of Wkfd. who died 23/3/1880 ) & William STATTER, Old Hall, Snapethorpe, Surgeon (Trustees of Geo Hudswell WESTERMAN) 1st Part. The Local Board of Ossett-cum-Gawthorpe the Other Part. All that Plot/Piece of land or ground situate on or near Park Square, containing by admeasurement 27 superficial? sq yds approx. bounded N by other property of the said Trustees S by Park Square Rd E by other property of the said Trustees W by the proposed new Street 10 yds wide and the same is…….. (Ref: 1888 35 527 285)

LAND CHANGES 1888

1889

Mark WILBY 1st Pt William HAIGH Plumber the Other Part. 315 sq yds – corner of Manor Rd & Park Sq Rd., (Ref: 1889 16 128 79)

1889 Mark WILBY of Sth Ossett Woollen Manufacturer. 1st Part George FIELD Draper the other Part. All that piece parcel of land as now staked out situate on the N side of Manor Rd having a frontage thereto of 7 yds & bounded on N & W where it measures 7 yds & 15 yds in length respectively by other land of Mark WILBY and E where it measures 15yds in length by land belonging to Mr HAIGH & containing in the whole 105 sq yds which said plot or parcel of land heretofore formed part of a close of land called “The CROFT” (Plot 368/370?) (Ref: 1889 34 759 393)

1890

Elizabeth MEGSON lately of New St., Ossett but now of Hackney Rd., London widow, Louisa GREEN wife of William GREEN Bootmaker 1st Pt George CLEGG the elder Little Town End Ossett Rag Merchant Eli WILBY the Green Ossett Rag Merchant George LAND Dewsbury Rd., Ossett Insurance Agent Isaac MITCHELL Dale St., Ossett Power Loom tuner, Morton PICKERSGILL Spa St Mill Manager, George Wm FLIGG the Other Pt. All that Plot of land situate at PARK SQUARE in Ossett bounded NE by Station Rd. E by property belonging to Walter BILTCLIFFE SW by the centre of a Rd W & NW by property of Mrs BATTY & containing (incl. half of the road on the South West side thereof 380 sq yds more or less and all those 4 cottages erected and built on said plot of land & now in several occupations of Henry TWIBEY, William BROWN, Frank RILEY and John CLAFTON & which were described formerly as ‘those 5 cottages on Middle Common in Ossett’ formerly in the occupation of John SMITH Thomas WARD and John MANNERS ( Ref:1890 10 615 316)

1891

Benjamin DUNFORD of Ossett Blacksmith 1st Pt John Henry LODGE Flock Grinder the Other Pt. All that piece of land part of a close called Common Close & which measures (incl. a moiety of a new street 10 yds wide) 228 & a half sq yds bounded N by Joseph REDGWICK S by other property of Benjamin DUNFORD E by William REDGWICK W by the said new street 10 yds wide together with rights etc.. (Ref: 1891 10 390 203)

1891

Fanny Brooke WESTERMAN of Castle Grove Sandal (widow of Geo Hudswell WESTERMAN, Alderman of Wkfd. who died 23/3/1880 Will proved 28th May, personal estate under £14,000) and William STATTER? Of Old Hall, Surgeon the vendors 1st Pt. The MAYOR, ALDERMEN & BURGESSES of Ossett, the purchaser the other Pt. FIRSTLY all that House & Shop together with 3 cottages, dwellings, warehouses & outbuildings situate in Park Square & now or recently occupied by James WRAY, Benj. BATTYE, James JACKSON & Eli TOMLINSON and SECONDLY that piece, parcel of land now used as a garden situate in Park Square containing 3r 35ps or 4690 Sq yds lying opposite to the premises firstly before described & now in the occupation of the said James WRAY (Sold by auction at the Coopers Arms 7/10/1891) (Ref: 1891 43 231 115)

Saturday 19 December 1891
Newspaper: Batley Reporter and Guardian

1892

Benjamin DUNFORD of Ossett Blacksmith 1st Pt George LODGE Manor Rd., Ossett the Other Pt. All that piece of land part of a close called Common Close & which measures (incl. a moiety of a new street 10 yds wide) 353 sq yds bounded N by other property of Benj. DUNFORD S by MEGSON’s trustees E by Wm QUARMBY W by the said new street. Tog. with all rights etc. (Ref: 1892 20 849 452}

1894

Published: Saturday 01 September 1894
Newspaper: Batley Reporter and Guardian

1894

The MAYOR, ALDERMEN & BURGESSES of Ossett the 1st Part Ezra DEWS, Spa Rd., Ossett, Mungo Manufacturer 2nd Part and Thomas Young PROCTOR of Manor Rd., Ossett, Butcher 3rd Part. All that dwelling & shop together with 3 cottages adjoining & outbldgs, garden, conveniences situate at PARK SQUARE bounded N by John TOMLINSON S by a road from Station Rd., to Ossett Common E by property recently sold by the Ossett Corporation to Fred TOMLINSON and W by Station Rd., being in the occupancies of Harriet WOOD, Sarah HESCOTT & Benjamin BATTYE and the shop (untenanted), except for rights etc..(Ref:1894 9 365 187)

Same plot as 1891 43 231 115- 2nd part (this time described as 4231 sq yds) sold by Alderman of Ossett etc. 1st Pt and Joseph WARD Manufacturer the other Pt (Ref: 1894 9 687 350)

George Haigh of Happy Land
Saturday 21 July 1894
Newspaper: Batley Reporter and Guardian

1895

Land Owner Emma BARKER Park Square, Widow. Refers to Lot 6 plot of land sold at an auction by Joseph BURTON deceased.273 sq yds (incl. Half of Park Street 7 yds wide) N by property late of Joseph BURTON but now George HALL W by Park Street S by Jane HEMINGWAY E by property late of Joseph BURTON now Dec’d ( on plan 26th Jan 1877 N/A) together with 3 cottages etc. ——-MEMO OF AGREEMENT (Ref: 1895 116 681 355) (seems like she has borrowed £150 from Miles BURTON and put the deeds of the property as security?)

1897

HUDDERSFIELD BANKING Co, 1st Part Sarah MEGSON widow, Graham MEGSON, mungo manufacturer, Ossett, John MEGSON The Green, Ossett Rag Merchant 2nd Part the said Sarah MEGSON 3rd Part ?? /FIELDHOUSE wife of Gough FIELDHOUSE of Stalybridge, Lancs, Draper, the said Graham MEGSON and also Mary CLOUGH the wife of Benj, CLOUGH of Walton Rd., Birkdale Lancs, Marine Store Dealer, the said John MEGSON & also Clara MEGSON of Dewsbury spinster, Elizabeth CLOUGH wife of Joseph CLOUGH Cleckheaton, carpet designer and Ellen MEGSON of Wkfd spinster 4th Part. Edgar Ernest DEANE of Batley Solicitor Official Receiver in Bankruptcy for the Dewsbury County Court Dist. of the 5th Part and Mark WILBY Ossett Woollen Manufacturer 6th Part. All that close of land situate at Ossett Common, commonly called Middle Common Close, containing 1a 18p bounded E by H.C. SCOTT W by Mark WILBY N by William ILLINGWORTH & others and S by Manor Rd., (Ref:1897 22 980 485)

1897 WILBY TO SCOTT

Mark WILBY of Ossett, woollen manufacturer,1st Pt Henry Castile SCOTT woollen manufacturer the Other Pt. Of & concerning all that Plot of land situated at Ossett Common containing by ad measurement 2880 sq yds more or less and being part of a close of land commonly called or known as Middle Common Close formerly waste or common land which said plot is bounded E by property of the said Henry Castile SCOTT W by property of Mark WILBY *** N by George LODGE and S by Manor Rd., and delineated on the plan edged in pink. (subject to the usual rights etc). (Ref: 1897 31 783 387)

1899 Benjamin DUNFORD 1st Pt John Thomas TOWNEND Rag Merchant Park Street the Other Pt. All that part of Common Close incl. moiety of new street 10 yds wide on the West side 2442 sq yds & which plot hereby conveyed contains 739 sq yds bounded N by John LODGE S by George LODGE E by Robert ARCHER & Allan TEALE & W by the new street. (Ref: 1899 34 171 85)

1901 George LODGE Manor Rd., Foreman 1st Pt Susanna COWBURN wife of Richard COWBURN the other Pt. All that plot of land part of Common Close containing including moiety of new street 10 yds wide 353 sq yds bounded N by Benjamin DUNFORD S by MEGSONS’ Trustees E by Wm. QUARMBY & W by centre of the said street And also all that messuage/dwellinghouse erected by George LODGE. (Ref: 1901 20 427 193)

Joseph PEACE the mortgagor 1st Part James Henry EXLEY, Gent the mortgagee the Other Part. All that plot of land part of Common close containing (incl. half of a street on the N side) 458 sq yds bounded N by the centre of said street 5 yds wide E by public road at the end thereof S by property of H C SCOTT W by Wm QUARMBY. And all that Messuage, Rag Warehouse partly used as a stable and other buildings late in the occupation of Mary WOODSON, Andrew SCOTT, Walter SCOTT, George AVISON but then of Andrew SCOTT, Harry LUCAS, William Clewes LUCAS, Evelyn GOTHARD and the mortgagor. ( Ref:1901 47 775 359) 

Charlotte NETTLETON Southwood Green Ossett widow & Charles Edwin NETTLETON Joiner & Builder 1st Pt. Joseph PEACE Ossett Common carrier the other Pt. All that piece of land situate on Ossett Middle Common or Park Square near Station Rd containing 11ps bounded N or NW by property then or late belonging to William WHITEHEAD & Ezra WHITEHEAD terminating in a   point on or towards the E, on or towards the W of NW by property then or late of Joshua OLDROYD and others terminating in a point on or towards the SW and on or towards the SE by property belonging to Walter BILTCLIFFE. AND Also that messuage/dwellinghouse and outbuildings then standing & being thereon formerly in the occupation of Joseph NETTLETON but then of Joseph GOWER all which said hereditaments & premises were formerly known as ALL THAT allotment on Mid Common containing 11ps bounded E by Francis SCOTT and SCOTT Rd Westward terminating in a point bounded N by an ancient inclosure late belonging to John NETTLETON called the MAPPLEWELL CLOSE & S allotment of Charles SCOTT (Ref: 1901 49 264 113) .

1906 Jonas EASTWOOD of Thornes, Wakefield, Steward and George CHARLESWORTH of Horbury Drayman of the 1st Part. THE SEVERAL OTHER PERSONS whose named addresses and descriptions are set forth in the schedule thereunto written and whose hands and seals are thereunto affixed of the 2nd Part. AND The said Jonas EASTWOOD and George CHARLESWORTH and George Henry BRIGGS (Rag Merchant) John William WILBY (Manager of Cooperative Stores) and Joshua OLDROYD (Rag Merchant) all of Ossett and John Henry GAWTHORPE of Roundhay Leeds Manager the 3rd Part. FIRSTLY ALL that piece parcel of land called the NEAR MAPPLEWELL situate on Ossett Common aforesaid which said piece contains 1 acre or thereabouts and is bounded on or towards the North by the piece of land secondly hereinafter described on or towards the East by Station Road on or towards the South by property partly belonging to Amelia FAWCETT and partly to Eli TEAL and on or towards the West by property partly belonging to Henry Castile SCOTT and partly to the trustees of George HARROP AND ALSO ALL those 14 messuages or dwellinghouses with the outbuildings and conveniences thereto belonging erected on the said land and now in the occupation of David LAYCOCK George CRAWSHAW Henry ALLATT Joseph METCALFE Thomas MILNER Gordon BEGG George HAIGH Henry DRIVER Albert Edward WILBY George Edward RICHARDS Frank CHAMBERS George HEMINGWAY Robert GEE and Joseph BOOCOCK. AND SECONDLY ALL that plot, piece or parcel of land formerly being part of a Close called NEAR MAPPLEWELL and numbered 10 in the Award of the Commissioners of the Ossett Inclosure Act adjoining the premises firstly described and containing by admeasurement 1 rood more or less on or towards the North West by property belonging to Messrs W and E WHITEHEAD on or towards the North East by property belonging to Mr Joseph PEACE and on or towards the South by the said premises firstly described which said piece of land is delineated (NO PLAN) on an Indenture dated the 22nd Sept 1865 and made between Thomas BILTCLIFFE 1st Part William STEWART 2nd Part David CLAFTON and John WILBY 3rd Part and the several other persons whose names & seals were subscribed and affixed 4th Part. SCHEDULE hereinbefore referred to of Beneficial Owners of property by the now memorializing presents assured (sic) held in NINETY SIX Shares (35 NAMES ON THE LIST) (Ref: 1906 39 55 26)   (‘HAPPY LAND‘)

 

1907

At a meeting of the Paxton Society in 1907, the benefits of introducing Garden Cities were being discussed. One such scheme had been implemented by the society in Letchworth and it was proposed to do the same in Ossett, Horbury and Wakefield.

There were those who believed that such a scheme would be wasted on the working classes as they were not “sufficiently advanced in their ideas” to be able to appreciate what a Garden City meant. Not everyone agreed.

One speaker cited an example of a woman who had moved into Sunderland’s Yard. Described as “one of the worst places Wakefield had for a colony of dirty, miserable habitations”. However, the new tenant decorated her windows with plants and made her home spotlessly clean and tidy. Soon her neighbours were following her lead and the yard was greatly improved.

Another speaker said it was pointless putting some of the working class in better dwellings, referring to them as being like pigs. He said: “You may wash the working man three times a day and he would still be a pig, after all!” He used Happy Land in Ossett as an example saying: “What this class of man craves is not Garden Cities. Their only aim is to get food and pleasure!”

It was decided that in the near future the Paxton Society should host a show, and have the working class compete, with the hope that this would mean the improvement of many unsightly dwellings. Port Sunlight, built in 1888 by Lever Brothers to accommodate workers in its soap factory, was offered as an example of what could be achieved.

Over 30 Garden Cities were eventually developed in England, starting with Letchworth in 1903 and Welwyn in 1920.

Anne-Marie

1909

Robt. Thos HALL Pk Square, 1st Pt DEWSBURY & WR PERMANENT BENEFIT SOCIETY 2nd Pt Terry GREAVES & Co Ltd (Office at Old Roundwood Colliery) 3rd Pt. All that mine, bed or seam of coal known as the “Silkstone Bed” lying within & under. All that plot of land containing 1a 37p situate in or near Park Square which is delineated in the plan annexed. And also full & free liberty for the Purchaser by underground workings only through any adjoining mines or lands belonging to or held by the Purchaser or which they may for the time being be authorised to use for that purpose to search for, work etc.. (Ref: 1909 11 207 496)

1910

Albert Edward HEMINGWAY Sowood Lane Ossett 1st Pt John Thos TOWNEND of Enfield House Sowood Lane Manufacturer the Other Pt. All that plot of land situate in Ossett Lights part of the Common Close including a moiety of St 10 yds wide 2442 sq yds between Edmund TOMLINSON & Benjamin DUNFORD containing 739 sq yds – N by John LODGE S by Richard COWBURN E by W……..PORRITT & Allan TEALL and W by centre of new street & also that Rag Warehouse & premises & the Crane Gas Engine & other fixed machines etc. (Ref: 1910 27 598 239)

PARK SQUARE AND HAPPY LAND 1910 VALUATION MAP

HAPPY LAND 1910 VALUATION AWARD

LAND (HAPPY?)

PLOT NOOCC F/NAMEOCC S/NAMEOWNER F/NAMEOWNER S/NAMEDESCRIPTIONSTREET
698DavidLAYCOCKDavidLAYCOCKWoodhouseLand (Happy?)
699DavidLAYCOCKJoshuaOLDROYD & othersHouseLand (Happy?)
700SarahCRAWSHAWSarahCRAWSHAWWoodshopLand (Happy?)
701SarahCRAWSHAWJoshuaOLDROYD & othersHouseLand (Happy?)
702HenryALLOTTJoshuaOLDROYD & othersHouseLand (Happy?)
703J WMETCALFEJoshuaOLDROYD & othersHouseLand (Happy?)
704Thos.MILNERJoshuaOLDROYD & othersHouseLand (Happy?)
705Wm Hy.NUNNJoshuaOLDROYD & othersHouseLand (Happy?)
706GeorgeHAIGHJoshuaOLDROYD & othersHouseLand (Happy?)
707HenryDRIVERJoshuaOLDROYD & othersHouseLand (Happy?)
708A.E.WILBYJoshuaOLDROYD & othersHouseLand (Happy?)
709G.E.RICHARDSJoshuaOLDROYD & othersHouseLand (Happy?)
710FrankCHAMBERSJoshuaOLDROYD & othersHouseLand (Happy?)
711HarrySCOTTJoshuaOLDROYD & othersHouseLand (Happy?)
712RobertGEEJoshuaOLDROYD & othersHouseLand (Happy?)
713AlbertDYSONJoshuaOLDROYD & othersHouseLand (Happy?)
714AlbertDYSONAlbertDYSONWoodshopLand (Happy?)

PARK SQUARE 1910 VALUATION AWARD

PARK SQUARE

PLOT NO
OCC F/NAMEOCC S/NAMEOWNER F/NAMEOWNER S/NAMEDESCRIPTIONSTREET
438JasperWAITEHenryWADSWORTH & othersWood Stable (Factory written in pencil)Park Square
439JasperWAITEHenryWADSWORTH & othersHousePark Square
439aJasperWAITEHenryWADSWORTH & othersLandPark Square
440Henry CastileSCOTTHenry CastileSCOTTHouseManor Rd.
440Henry CastileSCOTTHenry CastileSCOTTStableManor Rd.
440Henry CastileSCOTTHenry CastileSCOTTGroundsManor Rd.
440Henry CastileSCOTTHenry CastileSCOTTLandManor Rd.
441JosephPEACEJosephPEACEHouse (38)Park Square
441JosephPEACEJosephPEACEJoiners ShopPark Square
441JosephPEACEJosephPEACEStablePark Square
441JosephPEACEJosephPEACEBurling PlacePark Square
442JamesBELLWOODJosephPEACEHouse (40)Park Square
443William CLUCASJosephPEACEHouse (42)Park Square
444HarryBROADHEADMary AnnOXLEY (Westfield St.)House (8)Park Street
445AlickBRYANMary AnnOXLEY (Westfield St.)House (10)Park Street
446IsaacKILBURNMary AnnOXLEY (Westfield St.)House (12)Park Street
447JamesWOODSONMary AnnOXLEY (Westfield St.)House (14)Park Street
448WalterCLAYSONMary AnnOXLEY (Westfield St.)House (16)Park Street
449JamesNEWTONMary AnnOXLEY (Westfield St.)House (18)Park Street
450Thos.WEIGHTMANMary AnnOXLEY (Westfield St.)House (20)Park Street
451E. J.DAYAllanTEALL (Teall St.)House (6)Park Street
452W.CLAFTONJosephWARD (Manor Lodge Harrogate)House (15)Park Street
453M. A.DEWSJosephWARD (Manor Lodge Harrogate)House (17)Park Street
454AnnTOMLINSONB. E.ARCHER (Blue Butts)House & GreenhousePark Square
455HenriettaDAYHenriettaDAYHouse (34)Park Square
456HenriettaDAYHenriettaDAYHouse (36)Park Square
457Rose AnnHEYHenriettaDAYHousePark Square
458W.HALLASHenriettaDAYHouse (9)Park Square
459HerbertELLISHenriettaDAYHouse (11)Park Square
460T. GDAYKINHenriettaDAYHouse (13)Park Square
461AlbertMETCALFEHenry CastileSCOTTHouse & shop (61)Park Square
461AlbertMETCALFEHenry CastileSCOTTOutbuildings (63)Park Square
461AlbertMETCALFEHenry CastileSCOTTWood, Rag Warehouse 65)Park Square
461AlbertMETCALFEHenry CastileSCOTTLandPark Square
462AlfredGOTHARDBenj.LYNASHouse (32)Park Square
463JohnMOXONBenj.LYNASHouse (28)Park Square
464Wm.DYSONBenj.LYNASHouse (30)Park Square
465PeterNETTLETONPeterNETTLETONLand (Wynfield?)Park Square
466HenryPROCTORHenryPROCTORWood StablePark Square
467JosephKELLETTGeo.LONGBOTTOMHouse (Site of 57 -59)Park Square
468JaneCROOKGeo.LONGBOTTOMHousePark Square
469SusannahMORLEYGeo.LONGBOTTOMGreenhousePark Square
469SusannahMORLEYGeo.LONGBOTTOMWood shopPark Square
469SusannahMORLEYGeo.LONGBOTTOMLandPark Square
470Wm.GUNSONGeo.LONGBOTTOMHouse (51)Park Square
471Robert Thos.HALLASThos.PROCTORHousePark Square
471Robert Thos.HALLASThos.PROCTOROutbuildingsPark Square
471Robert Thos.HALLASThos.PROCTORlandPark Square
472Sam’lHEMINGWAYRob’t Thos.HALLHouse (39)Park Square
473John JamesWILDRob’t Thos.HALLHouse (41)Park Square
474ArthurMEGSONRob’t Thos.HALLHouse (43)Park Square
475ArthurHARRISONRob’t Thos.HALLHouse (45)Park Square
476WalterWOODRob’t Thos.HALLHouse (47)Park Square
477BenHEALDRob’t Thos.HALLHouse (49)Park Square
478JohnBAKERAlfred H.PICKARDHouse (22)Park Square
479J.HOLDROYDAlfred H.PICKARDHouse (24)Park Square
480HenryFISHERAlfred H.PICKARDHouse (26)Park Square
481Sarah A.DIXONAlfred H.PICKARDHouse (1)Park Street
482ErnestJOWETTAlfred H.PICKARDHouse (3)Park Street
483Thos.FINNEMOREAlfred H.PICKARDHouse (5)Park Street
484A.WESTERMANArthurHALLHouse (7)Park Street
485Ellen & EmilyHALLArthurHALLHouse (7a)Park Street
486FredWILCOCKWallacePORRITT? (4 & 4a)Park Street
487GeorgeHERBERT SPRINGWELL BREWERY CO.Beerhouse, Park HotelPark Street
488F H.CROSSLEY SPRINGWELL BREWERY CO.StablePark Street
489Henry V.ROBBBenj.DUNFORDHouse (16)Park Square
490EmilyGILLBenj.DUNFORDHouse (18)Park Square
491FredCLARKBenj.DUNFORDHouse (20)Park Square
492Benj.DUNFORDBenj.DUNFORDHousePark Square
493J. H.DRIVERJosh.RIDGWICK – BROADROYD exorsHouse (3)Park Square
494Wm.LITTLEWOOD RIDGWICK – BROADROYD exorsHouse (5)Saville St
494Wm.LITTLEWOOD RIDGWICK – BROADROYD exorsWood Mistal 
495J. H.LODGEJ. H.LODGEHouse (7)Saville St
496John Thos.TOWNENDA. E.HEMINGWAYRag Warehouse (Factory?)Saville St
496aJohn Thos.TOWNENDThos. T.PROCTORWood StableSaville St
497RichardCASBURNRichardCASBURNHouse (9)Saville St
497RichardCASBURNRichardCASBURNGreenhouseSaville St
498WalterSCOTT??Woodshop (8)Saville St
499WalterSCOTTJas.HEMINGWAYHouse (8)Saville St
500Geo. HenryDEWSJas.HEMINGWAYHouse (10)Saville St
501FrancisWILBYJas.HEMINGWAYHouse (12)Saville St
502J. A.ILLINGWORTHE. A.ILLINGWORTH (Cross St. Wkfd)House (6)Saville St
503R.HICKSE. A.ILLINGWORTH (Cross St. Wkfd)House (4)Saville St
504M. J.ILLINGWORTHMary JILLINGWORTHHouse (2)Saville St
505Benj. TFAIRHURSTC.WILSONHouse (10)Park Square
506JohnBURDEKINCharlesWILSONHouse (12)Park Square
507JosephBURDEKINJosephBURDEKINWoodshopPark Square
508M. E.LAYCOCKCharlesWILSONHousePark Square
509MaryVINERMaryVINERHouse & GdnPark Square
510GordonBECKThos. YoungPROCTORHouse , Land?Park Square
511Thos. YoungPROCTORThos. YoungPROCTOROpen WoodshedTelephone Exchange
511Thos. YoungPROCTORThos. YoungPROCTORWood stablePark Square
511Thos. YoungPROCTORThos. YoungPROCTORLandPark Square
512John AHALLSStanleyNETTLETONHouse (33)Park Square
513JoeCLEGG & SONThos. YoungPROCTORWorkshopPark Square
514Thos.TALBOTThos. YoungPROCTORHouse (29)Park Square
515IrvinWHITEThos. YoungPROCTORHouse (31)Park Square
516MaryJACKSONThos. YoungPROCTORHouse (27)Park Square
517Wm.FURNESSThos. YoungPROCTORHouse (25)Park Square
518Benj.BATTYEThos. YoungPROCTORHouse (23)Park Square
519Thos. YoungPROCTORThos. YoungPROCTORHouse & shop (21) (and 217 Station Rd.)Park Square
520S. T.RICHMONDJosephWARD exors219 – 233 Station Rd.?
714AlbertDYSONAlbertDYSONWoodshop?
715FredWILBYAdaWILBYProspect HousePark Square
716MiriamBLACKBURNAdaWILBYHouse (235)Station Rd
717JaneARMITAGEAdaWILBYHouse (237)Station Rd
718Jno. WmRENSHAWAdaWILBYHouse (239)Station Rd
719John HyCOLLEYAdaWILBYHouse (241)Station Rd

1911 Thomas Young PROCTOR, Station Rd., the Mortgagor Frederick Atkinson WILBY of Ossett Retired Woollen Manuf. and Edward APPLEYARD Solicitors clerk the Mortgagees the Other Pt. All that close of land on Ossett Lights called Top Croft 2r 24p (372?) formerly of Jacob LAND then Fred TOMLINSON & also all that messuage/dwelling & outbuildings which was erected by Jacob LAND formerly in the occupation of Sam’l EMMERSON then Andrew WILBY, later Geo Albert HALLAS and them by the Mortgagor & Gordon BEGG. Secondly All that dwelling warehouse & workshop with garden kitchen outbldgs & conveniences situate at Park Square & adjoining the hereditaments firstly described formerly in the occupation of Eli TOMLINSON (see 1894 9 365 187 & 366 188)(Ref:1911 19 878 354)

1911 WILL OF AMELIA FAWCETT Reg. 19/7/1911. (Died 17th Feb 1911) at Wakefield. All her real estate to sole Devisee James FAWCETT Beatson St., Thornhill Lees Grocer. Probate at Wakefield 22/3/1911 to John FAWCETT £2261 (Ref: 1911 29 91 34)

1911 CENSUS FOR PARK SQUARE AND HAPPY LAND

1912

All that plot of land situate in or near Park Square Road in Ossett aforesaid containing approx. 520 sq yds thereabouts, and also all those 6 several cottages erected thereon. THIS WAS LEFT TO EMMA JANE, KATE HEMINGWAY AND SAMUEL NORMAN PICKARD in equal shares (Ref: 1912 22 689 256)

1912 Susan COWBURN wife of Richard COWBURN (The Vendor) of 9 Saville St., Park Square 1st Pt. Albert Edward HEMINGWAY (The Purchaser) South Terrace Rag Merchant the Other Pt. All that piece of land on Ossett Lights part of a close called the Common Close containing (including a moiety of Saville St 10 yds wide) 353 sq yds Bounded N by formerly Benjamin DUNFORD but now representatives of the late H. C SCOTT, S by formerly MEGSON Trustees but now to the Purchaser E by property formerly of William QUARMBY but now to……………. and W by Saville St. AND all that messuage/dwellinghouse Number 9 Saville St etc. (Ref: 1912 25 912 353)

1913

Memorial of an Indenture. Re Will of Henry Castile SCOTT signed 15/2/1905 (Died 3/5/1912) The Dwellinghouse where testator then resided known as Mona Cottage with land on the East side thereof & Gardens outbuildings etc adjoining thereto situate in Manor Rd. Sth Ossett and also the Piece/parcel of land situate at Sth Ossett (adjoining at the W side of the land in which Mona Cottage is situate) cont 2880 sq yds & purchased from Mark WILBY in July 1897. All that Dwelling in Park Square now in the occupation of Albert METCALFE & the cottage warehouse & close of land adjoining with outbldgs thereto (except the Silkstone Seam of coal lying thereunder which Testator sold to Terry GREAVES & Co in 1904). All & such part is or are Freehold:- 3 cottages sit in Manor Rd. opposite the land on the E side of Mona Cottage now occupied by Mrs GOMERSALL, Mrs ELLIS & Mrs GOLDTHORPE with outbldgs & land etc. All the Testator’s one undivided third part or share of the Mill or Factory known as the Storrs Hill Mill at South Ossett with Weaving Mill, Fulling Shed, Warehouse, Engine & Boilerhouse, Mill Dams, Yards outbldgs thereto belonging also Steam Engine & other machines etc. and certain parcels of land, part of the Bull Close with Wool Warehouse, Dam situate near to the said Mill. All that one undivided 10th part or share and in the warehouse counting house a stone dwellinghouse and 5 brick cottages situate in or near Horbury Road in Sth Ossett occupied by Geo. BRIGGS & Sons George LUCAS, Amos HUNTER and others to which Testator succeeded as heir at law to his deceased daughter Catherine Castile COOLEY. The residue of Testator’s Real Estate if any probate to Sam’l C SCOTT of Mona Cottage cloth manufacturer one of the Trustees. (Ref: 1913 1 815 292).

1913 5 Happy Land

I spotted one of the Ossett Fallen on this WW2 memorial plaque which is at Sandal Rugby Club.

Arnold Horton and his twin sister, Nora, were born in Ossett on April 19 1913. They lived at 5 Happy Land and were educated at Holy Trinity School. They also attended the Central Baptist Sunday School. Arnold was employed by Mr. Clifford Moiser, greengrocer, for seven years, and before joining up in July 1940, was with Langley Brothers. (Dale Street)

Arnold joined the Royal Signals in 1940 and subsequently was shipped out to Singapore where he joined the Fortress Signal Unit. World War Two saw 4,362 members of the Royal Signals lose their lives. Signalman Arnold Horton, 2346562, Singapore Fortress Signals, Royal Corps of Signals died whilst a prisoner of war in Japanese hands in February 1942. His mother received a letter from a captain in the Royal Signals stating: ‘Singapore Fortress capitulated on February 15 1942, and two days later the whole of the fortress Signals unit, of which I was adjutant, marched to Changi Prisoner of War Camp at the east end of the island. There we settled down quickly to a comparatively happy life. We rarely saw the Japanese and in those early days there was no question of ill-treatment. The food was less than normal, but sufficient. We were, however, rather crowded together, and, when in that state, we were hit by a dysentery epidemic. Your son was taken ill and we rushed him to the Roberts hospital. There he received all the treatment possible from British doctors and R.A.M.C. orderlies, but they were unable to save him, and he died on April 15 1942. He was in no pain when he died. He was given a military funeral at Changi Cemetery and his grave is No. A.C.1. With you, myself and the rest of his unit who came through the three and half years mourn the loss of a good comrade. His devotion to duty during the campaign had put him in the forefront and his unselfishness during the few weeks he lived as a prisoner of war was outstanding. In him we lose a great soldier and an even greater man.’

Read more about Arnold Horton on ossett.net

.

1918

Charles Warwick WHITWORTH Barrister (A Stock Trustees) 1st Pt Hon. Reginald PARKER London (B Stock Trustees) 2nd Pt SPRINGWELL BREWERY Heckmondwike 3rd Pt and Arthur HALL 5 Manor Lane Engineer, the Purchaser 4th Pt. All that piece of land extending halfway into Park Street together with wash kitchen, stable & cottage erected on some part. (Ref: 1918 29 109 23)

1919

Thos Young PROCTOR, Vendor 1st Pt Edward APPLEYARD, Retired Solicitor’s clerk, Ada Sophia WILBY of Prospect House widow Mark WILBY Tailor, Station Rd, George Whiteley WILBY Prospect House Dora Janet WILBY & Gladys May WILBY, the mortgagees 2nd Pt John Wm GILL Engineer Park Square the Purchaser 3rd Pt. Firstly all that messuage/dwelling formerly 2 cottages & 1 shop and gardens, outbldgs etc. in Park Rd., Bounded N by property secondly described S by Park Rd., (now known as Park Square) E by property now or late of Robt Thos. HALL & W by a cottage formerly of Edwd TOMLINSON & now the Vendor, all now in the occupation of John Albert HALLAS & known as 37 Park Square, Middle Common. Secondly all that plot of land adjoining the hereditaments firstly described containing 1200 sq yds more or less & bounded N & W by other property of the Vendor E in part by R.T.HALL and in remaining part by other property of the Vendor S by part of cottage of Ed. TOMLINSON etc. (Ref: 1919 39 530 201)

1920

Henrietta DAY 36 Park Square widow 1st Pt Annie FOTHERGILL wife of George Harrison FOTHERGILL of Ebor Place Station Rd. Nat Insurance Clerk the Other Pt. All that piece of land in Park Square containing 224 sq yds on map dated 10/1/1866 between Jos. BURTON 1st Pt John BARKER (or John Hardy BARKER) of the other PT. And Also those 2 messuages/dwellings erected thereon thereto known as Nos 34 & 36 (now divided into 2) & now respectively in the occupation of BROADHEAD the Vendor and Stephen WRIGHT shall remain to the use of the Purchaser in fee simple….(1920 58 13 7) 

Where a reference is given this can be viewed at WYAS, Wakefield – unless stated otherwise.

I found this to be the most difficult local history project that I have worked on, it was so complicated – the Happy Land part especially so. I cannot explain it in a few words. I hope the reader can work it out from the Deeds and Maps that I have included.

HAPPY LAND DRUIDS

I have always been intrigued by the name of this plot of land, so when I began to research Park Square I decided to include it. When I found the following deed I wondered if the land acquired its name from its association with the “Druids and Nymph Lodge”? If anyone can offer a different explanation I would be pleased to hear about it!

1863 WARD TO NYMPH LODGE

1st May 1863 Between Thomas WARD of Ossett Mason 1st Part and Richard MEGSON, Robert GIGGAL, John CONYERS all of Ossett Trustees of the NYMPH LODGE Number 24 of the United Ancient Order of Druids held at the George Inn Ossett the other part. Of and Concerning all those 5 cottages situate on Ossett. Middle Common formerly in respective occupation of Francis SCOTT John HEMINGWAY Randolph WIILBY and ?? but now in the respective occupation of John SMITH the said Thomas WARD & John MANNERS together with rights appts. etc. (Ref: 1863 XE 698 743)

On the 1910 Valuation Map these are Plot Nos. 692; 693; 694 & 6951910

Happy Land & Park Square No 34 Lodge

1911 Standing, fourth from the left is Gerald Wilson, (the grandfather of Stephen Wilson, owner of http://www.ossett.net). Gerald’s younger brother, Austin Wilson, is seated on the extreme left. Get in touch if you recognise anyone else!

Photo from Stephen Wilson’s family collection

The Ancient Order of Druids, Nymphs Lodge No. 34 was a Benevolent Society set up to provide cash benefits to its members if they could not work due to illness.

It is not widely known that Winston Churchill was a Druid. In the early 20th century as a young man he dabbled with various organisations, most notably the Freemasons and his initiation into Druidic rites appears to have stemmed from this.

This photograph from Stuart Piggot’s book ‘The Druids’ shows a young Churchill flanked by a number of men, some wearing druid robes and others in ordinary suits. According to the caption, this photograph shows Churchill’s initiation into the Albion Lodge of the Ancient Order of Druids in August 1908 at Blenheim, his family home. Elsewhere in ‘The Druid Tradition’, Phillip Carr-Gomm describes the same photograph, stating it was Churchill’s initiation into the Ancient and Archaeological Order of Druids.

I lived in Happy Land 1967 to 1970. Then someone came round to say they were being condemned and we all needed to move out. I had some lovely neighbours there. I often though I would have loved to have the name plate, but I guess it just got sent with the rubble.

The photos below are Happy Land 1968. The front garden, picture of children. My kitchen, notice the water heater on the wall, see the record player and tape recorder under the sideboard. Happy Land, happy days.

Norma Barlow c/o Ossett Through The Ages (OTTA)

.

HAPPY LAND ON FIRE!! April 1927. That poor dog!

In March 1950 twenty employees of Old Roundwood Colliery were presented with illuminated certificates by the NCB to celebrate and acknowledge their long records of service, totalling 1090 years. Many of these men spent the whole of their mining lives at the coal face. Some started working at the age of 10, not retiring until well after the age of 70.
Among those awarded were:
Jack Hinchliffe, Workhouse Yard, Flushdyke (with 64 years as a miner Jack had one of the longest records of service in the country);
Walter Firth, Hope Street;
JW Brettoner, 14 Bridle Lane;
A.Gee, 19 Happy Land;
Tom Ake, 91 High Street;
Walter Merryweather, 17 Haggs Hill;
Frank Armitage, 1 Ashton’s Buildings;
Joseph Dews, 1 Brook’s Buildings;
TJ Peace, Gower Farm;
J. Colley, Manor Road;
Sam Brooke, 1 Nettleton’s Buildings;
GE Rawdon, 73 Dale Street.

HAPPY LAND
My mum and dad, Gerald and Mabel Callaghan moved there around 1952. My grandmother and father (Lilly and Albert Pullan) lived in the house one down from the top of the street. The Gees lived in the next one down. We lived in the one at the top. There was then a wall, over the other side of which were the corn fields (part of Ossett Grammar playing fields). Albert worked at Woodheads and Lilly was a dinner lady at Southdale School.
I was born in 1954 and lived there until 1961 when we moved to Horbury and a bigger house.

The houses themselves consisted of one largish room downstairs and one up, which most had converted by various means to make two bedrooms. There was no inside toilet. The toilets were across the street which was made up of rough small cobbles. The toilets were in back to back blocks of two. Each individual toilet was shared by two houses.

The front doors were badly fitted and were backed up by a second door just inside the first. There was also a door at the back which led to a long garden which was bordered by a ditch at the bottom, where, as children, we used to build our dens. The tin bath was kept by the wall outside.


The houses were rented and the collector used to come once a fortnight. I remember him always bringing my brother and myself a few sweets when he called. The houses themselves were made of sandstone and had seen better days. I think my Grandma was one of the last residents to leave Happyland after they had been condemned. I remember visiting when there was shuttering outside preventing the front wall from collapsing. I would think this would have been around 1970, after which the new houses of Dunstan Close were built.


At the bottom of the street was Bakers shop which was a bit of a general store/newsagents. They used to sell pie and peas on a Saturday, with the peas simmering in a large pan near the counter. Bootroyds fish and chip shop was on the left just up Station rd. There was a local butcher across the raid Cyril Leather’s, I think. The other shop I remember was Trevor Wild’s the barbers.

Sean Callaghan

Left: Ant Haigh and his friend David Butterworth on an early lambretta at the bottom of Happy Land. Mr Baker’s shop behind and Leather’s butchers over the road. photo: Edwina Haigh